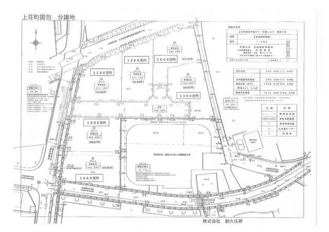
加古川市上荘町国包の売地
価格
1000
万円
所在階
-
土地図
加古川市移住。定住助成金制度がございます。