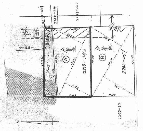
神戸市垂水区星が丘1丁目の売地
価格
800
万円
所在階
-
土地図