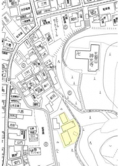
洲本市物部1丁目の売地
価格
50
万円
所在階
-
土地図