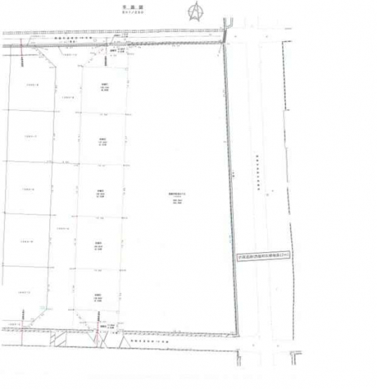
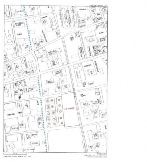
西脇市西脇の売地
価格
6500
万円
所在階
-
土地図