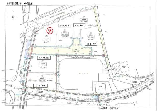
加古川市上荘町国包の売地
価格
1200
万円
所在階
-
全体区画図
土地図
B号地 区画図
マルアイ八幡店まで1217m
加古川市立八幡小学校まで488m
加古川線『厄神』駅まで450m