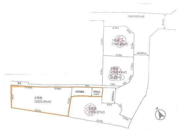
加古川市野口町古大内の売地
価格
2040
万円
所在階
-
土地図