多賀町多賀
消費税法の改正と価格等の表示について
当サイトの課税対象となる物件価格およびその他費用等は、税込み表示となっております。
※消費税法の改正に伴い、物件の引き渡し時期、お支払い時期等により課税率が異なります。
詳しくは、各情報提供元の不動産会社にご確認くださいますようお願いいたします。
-
-
- 多賀町役場 福祉保健課
約142m/1分
-
- 湖国バス 多賀町役場前停
約142m/1分
-
- 多賀町役場
約163m/2分
-
- 多賀大社
約294m/3分
-
- 多賀町B&G海洋センター
約621m/7分
-
- なつめ保育園
約729m/9分
-
- 多賀福祉会館
約748m/9分
-
- 多賀郵便局
約812m/10分
-
- 多賀ささゆり保育園
約980m/12分
-
- 多賀町中央公民館
約842m/10分
-
- 多賀大社前
約887m/11分
-
- ローソン 彦根高宮店
約3079m/38分
-
- ローソン 彦根野田山店
約3422m/42分
-
- ゲンキー高宮店
約3207m/40分
-
ローンシミュレーションこの物件を購入した場合の、月々の支払い価格の一例です。
- 返済期間
-
- 金利
-
- ボーナス時の増額(1回分)
-
- 借入金額:
-
- 頭金:
-

- 毎月の返済額:
(※元利均等方式 金利5.00%まで ※返済年数5~35年まで入力できます)
(※ボーナスは年2回で計算しています。1000万円まで入力できます)
物件概要 【売地】 物件番号:5976751 情報更新日:2026年04月24日 次回更新予定日:2026年04月28日
| 物件名 | 多賀町多賀 | ||
|---|---|---|---|
| 所在地 | 滋賀県犬上郡多賀町大字多賀 | ||
| 交通 |
|
||
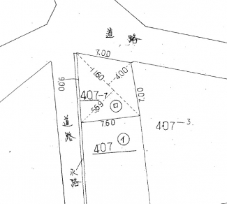
| 接道状況 | 一方(北東 10m ) | ||
| 価格 | 180万円 | 私道負担面積 | - |
| 土地権利 | 所有権 | 土地面積 | 108.69㎡ |
| 坪数 | 32.87坪 | 坪単価 | 5.4761万円/坪 |
| 地目 | 宅地 | 地勢 | 平坦 |
| 建築条件 | - | セットバック | 無 |
| 都市計画 | 市街化区域 | 用途地域 | 第二種住居 |
| 建ぺい率/容積率 | 60%/200% | 借地料 | - |
| 国土法届出要否 | 不要 | その他の法令上の制限 | - |
| 取引態様/現況 | 仲介/上物有 | 最適用途 | - |
| 引渡時期 | 相談 | 引渡条件 | 現況渡 |
| 設備条件 |
|
||
ただいまの掲載物件数:





















